Φονικός τυφώνας στη Τζαμάικα: Τρεις νεκροί από τον «Μελίσα» - Φόβοι για μεγάλες καταστροφές
«Δεν νομίζω ότι καμία υποδομή σε αυτήν την περιοχή μπορεί να αντέξει έναν κυκλώνα Κατηγορίας 5» προειδοποίησε ο πρωθυπουργός🕛 χρόνος ανάγνωσης: 3 λεπτά ┋ 🗣️ Ανοικτό για σχολιασμό

Σφοδρές βροχοπτώσεις και ισχυροί άνεμοι πλήττουν την Τζαμάικα καθώς πλησιάζει ο κυκλώνας Μελίσα, ο ισχυρότερος στην ιστορία της χώρας, απειλώντας να προκαλέσει καταστροφικές πλημμύρες και κατολισθήσεις.
View of Kingston, Jamaica as Hurricane Melissa approaches https://t.co/9RrHJg3odZ
— CGTN Europe Breaking News (@CGTNEuropebreak) October 28, 2025
View of Kingston, Jamaica as Hurricane Melissa approaches https://t.co/9RrHJg3odZ
— CGTN Europe Breaking News (@CGTNEuropebreak) October 28, 2025Ήδη τρεις νεκροί
Οι τρεις νεκροί έχασαν τη ζωή τους κατά τη διάρκεια των προετοιμασιών για τον επερχόμενο τυφώνα — ένας άνδρας παρασύρθηκε από ορμητικά νερά ενώ προσπαθούσε να καθαρίσει φρεάτια απορροής, ένας δεύτερος τραυματίστηκε θανάσιμα από πτώση δέντρου, και ένας τρίτος υπέκυψε στα τραύματά του μετά από ατύχημα σε προσπάθεια στερέωσης της στέγης του σπιτιού του. Οι αρχές επιβεβαίωσαν ότι πρόκειται για τα πρώτα θύματα του φαινομένου, πριν καν αυτό φτάσει στο νησί. Εκτός από τους τρεις νεκρούς στη Τζαμάικα το πέρασμα του τυφώνα ευθύνεται και για τέσσερις θανάτους σε Αϊτή και Δομινικανή Δημοκρατία.
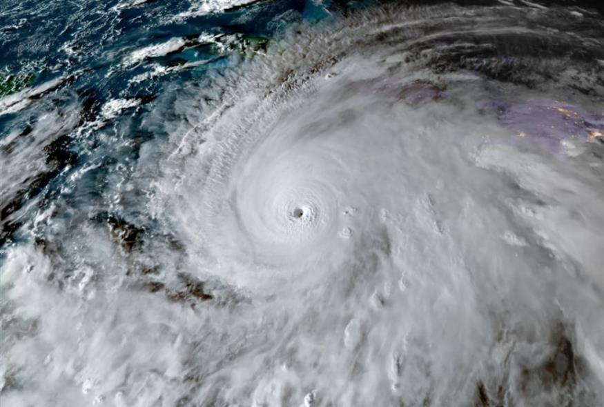
Συνοδευόμενος από ανέμους των οποίων η ταχύτητα φθάνει τα 280 χλμ/ώρα, ο κυκλώνας Μελίσα κατατάσσεται στην Κατηγορία 5 – στο ανώτατο επίπεδο της πεντάβαθμης κλίμακας Σαφίρ-Σίμσον – και αναμένεται να πλήξει σήμερα την Τζαμάικα.
From Balaclava in St Elizabeth to Devon and Coffee Grove in Manchester, Jamaicans are sharing what they’re seeing as Hurricane Melissa continues its slow northwest crawl. pic.twitter.com/HOj4iatSUE
— Jamaica Observer (@JamaicaObserver) October 28, 2025
Ο πρωθυπουργός Άντριου Χόλνες προειδοποίησε για τον κίνδυνο πρόκλησης σημαντικών καταστροφών, ιδίως στο δυτικό τμήμα της χώρας. «Δεν νομίζω ότι καμία υποδομή σε αυτήν την περιοχή μπορεί να αντέξει έναν κυκλώνα Κατηγορίας 5, επομένως ενδέχεται να υπάρξουν σημαντικές καταστροφές», είπε στο CNN, προτρέποντας τους κατοίκους να βρίσκονται σε επαγρύπνηση για να προστατεύσουν τις οικογένειές τους, εκκενώνοντας περιοχές που διατρέχουν τον μεγαλύτερο κίνδυνο.
Ωστόσο, πολλοί κάτοικοι αψηφούν τις οδηγίες των αρχών και δεν εγκαταλείπουν τις εστίες τους. «Απλώς δεν θέλω να φύγω», δήλωσε στο Γαλλικό Πρακτορείο Ειδήσεων (AFP) η Τζένιφερ Ραμντάιαλ, η οποία ασχολείται με την αλιεία στο Πορτ Ρόιαλ, μια μικρή ιστορική πόλη κοντά στην πρωτεύουσα Κίνγκστον.
«Ακόμη κι αν ήταν… Κατηγορίας 6, δεν θα έφευγα», είπε ο Ρόι Μπράουν, υδραυλικός και πλακάς, αν και η κλίμακα Σαφίρ-Σίμσον είναι πεντάβαθμη. Εξήγησε ότι πολλοί κάτοικοι έχουν αρνηθεί να εγκαταλείψουν τις εστίες τους λόγω της άσχημης εμπειρίας που είχαν παλιότερα σε καταφύγια που είχαν στήσει οι αρχές.
The government of Jamaica issued mandatory evacuation orders for six areas on Monday afternoon as Hurricane Melissa prepares to wreak havoc on the country. https://t.co/2FFiJIvOLZ pic.twitter.com/oCnWmzC48K
— The National Desk (@TND) October 28, 2025
Ο τελευταίος ισχυρός κυκλώνας που σάρωσε την Τζαμάικα ήταν ο Γκίλμπερτ τον Σεπτέμβριο του 1988, που στοίχισε τη ζωή σε 40 ανθρώπους και προκάλεσε εκτεταμένες καταστροφές σε όλη τη χώρα. Έκτοτε, η νήσος έχει πληγεί από αρκετούς κυκλώνες, με πιο πρόσφατο τον Μπέριλ τον Ιούλιο του 2024. Απρόσμενα ισχυρός για την εποχή, άφησε πίσω τουλάχιστον τέσσερις νεκρούς.
Καθώς ο κυκλώνας Μελίσα πλησίαζε απειλητικά, οι αρχές της Τζαμάικας έκλεισαν τα λιμάνια και το διεθνές αεροδρόμιο της πρωτεύουσας.
Ο κυκλώνας απειλεί επίσης τις ανατολικές ακτές της Κούβας, τις νότιες Μπαχάμες και τα νησιά Τερκς και Κέικος.
Απίστευτο βίντεο μέσα «στο μάτι του» κυκλώνα
Συγκλονιστικά πλάνα μέσα από το μάτι του τυφώνα Melissa κατηγορίας 5 — εντυπωσιακή συμμετρία καταγράφηκε κατά τη σημερινή τολμηρή πτήση!
🚨 Jaw dropping footage from inside Cat 5 Hurricane Melissa's eye stunning symmetry captured during today's daring flight!
— Arshad (@im__Arshu) October 27, 2025
As mesmerizing as it looks Jamaica faces catastrophic impacts in 24-48 hours devastating winds floods ahead.
Stay safe nature's power is unreal 🇯🇲… pic.twitter.com/bDvYNVdFcI
Βρες την πρωτεύουσα του νομού: Έχεις τις γνώσεις να κάνεις το 10/10 μέσα σε 3 λεπτά;
Σκηνές χάους στο «Νήσος Σάμος»: Επιβάτες άναψαν τσιγάρο - Ενεργοποιήθηκε το σύστημα πυρόσβεσης
Σαν από ταινία της Disney: Το λιοντάρι που επανενώνεται με την οικογένειά του και σκορπά χαμόγελα
«Είμαι ο φιλικός ομοσπονδιακός δολοφόνος»: Ολόκληρο το μανιφέστο του 31χρονου δράστη στην Ουάσιγκτον - «Πολύ αντιχριστιανικό» το χαρακτήρισε ο Τραμπ
Live όλες οι εξελίξεις λεπτό προς λεπτό, με την υπογραφή του www.ethnos.gr
δημοφιλές τώρα: 



